上に広がるこんもりとした樹形になる
イヌエンジュ
枝や木の皮に独特の香り
特徴
夏にフジの花を上向きにしたような白い花を咲かせます。 元々エンジュと呼ばれていましたが、 中国からやってきた別の木に名前をとられ、 自分はイヌエンジュという名前にされてしまいました。
幹や枝を傷つけると独特の強い香りがします。
みんなの投稿
以下の情報は、 関東地方を基準にしています。 エリアによって1ヶ月くらいの差があります。
Peak Season
Blossom
Leaf
Fruit
| 1 | 2 | 3 | 4 | 5 | 6 | 7 | 8 | 9 | 10 | 11 | 12 | |
|---|---|---|---|---|---|---|---|---|---|---|---|---|
| 見頃 |
|
|
||||||||||
| 花 |
|
|
||||||||||
| 葉 |
|
|
|
|
|
|
|
|
|
|||
| 実 |
|
|
||||||||||
高さ
高木 (10~30m)
|
花の性別
両性花
|
|||||||||||
分布北海道、 本州、 四国、 九州、 中国、 朝鮮半島、 極東ロシア |
生息地山地の林緑、 川岸、 湿地の周辺など |
|||||||||||
分布北海道、 本州、 四国、 九州、 中国、 朝鮮半島、 極東ロシア |
||||||||||||
生息地山地の林緑、 川岸、 湿地の周辺など |
||||||||||||
学名Maackia amurensis |
||||||||||||
樹形
葉
枝に小さな葉が3~6対、 対になってつき、 先端は一枚だけつきます.(→奇数羽状複葉)
小葉の集まったものが本来の1枚の葉になります。 葉は互生(枝の違うところから出る)。
両面に毛が生え、 特に裏面はびっしりと生えます。
花
小さなクリーム色の花が集まって咲きます。
白いフジのように小さな花が房になって集まって咲きますが、 花の房はフジのように垂れ下がらず上向きです。
実
ぺったんこの豆のさやが沢山かたまって実ります。 カサカサでぺったんこなので何もはいってないかと思えば、 中から7~8mmのころっとした豆が2~3個出てきます。
幹・枝
樹皮や枝は傷つけると独特の強い臭いがあります。
全体的に黒っぽい感じのする樹皮です。 そこからクロエンジュとも呼ばれてきました。
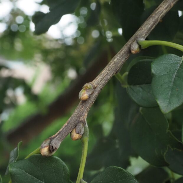
冬芽・葉痕
冬芽は三角おにぎり型か水滴型。
鱗片(がりん=冬芽をつつむうろこ状の皮)は2~3枚でです。
濃い茶色の地に白っぽい毛が沢山生えています。
人との関わり
・枝や樹皮を傷つけると独特の強い臭いがすることから、 アイヌでは病魔をさけるという言い伝えがあったと言われています。 (北海道立総合研究機構ホームページより)
・本種は元々エンジュと呼ばれていて、 その名前と延寿(=寿命が延びる)とかけて、 縁起が良い木として、 よく家の入り口や真北に植えられました。
・材は独特の色合いで、 工芸品などに使われます。
名前の由来
元々エニスと呼ばれ、 それが変化してエンジュと呼ばれるようになったと言われています。 中国から槐(フゥアィ)という別の木が入ってきて、 そちらを「エンジュ」と呼ぶようになり、 本種はイヌエンジュと呼ばれるようになりました。
その他の情報
北海道の森に多く生えます。 北海道ではイヌエンジュのことを「エンジュ」と呼びます。
性格
北海道などによく見られます。 本州でも山とか比較的涼しい場所が好みのようです。 「イヌ」がつくのは、 だいたい日本に昔からいる身近な木です。 あまり珍しくなく、 どこでも普通に見られるので「格下」という扱いになりがち。 でも身近なありふれた木こそ、 日常を作ってくれる大事な木です。
体験・遊び
心材が濃い褐色なので、 輪切りにするだけでおしゃれなコースター、 ペンダント、 イヤリング、 モビールができます。 心材と辺材のコントラストを生かした木彫りのフクロウも作られます。 材の特徴を生かした木工を考えてみましょう。
関わりが深い生き物
上向きに咲く花には、 ハチやチョウなどたくさんの虫がやってきます。 北海道ではミツバチが集めた蜜で、 貴重なハチミツが作られます。
タップすると詳細が見られます
見られる場所
執筆協力 : 「性格」「体験・遊び」岩谷美苗 執筆
