背が比較的低く、 幹が群がって生え球形からつぶれた球形になります。
冬しっかりした茶色の葉が残っていて、 冬枯れの林でとても目立ちます。
ヤマコウバシ
「落ちない」葉は合格祈願のお守りに
特徴
名前の通り、 葉を揉んだり、 枝を折ると香ばしい香りがします。 葉が冬も落ちないで残っていることから「落ちない」木として縁起の良い木と言われます。
雌雄別株なのですが、 日本では雄の木がまだ見つかっていないミステリアスな木です。
みんなの投稿
以下の情報は、 関東地方を基準にしています。 エリアによって1ヶ月くらいの差があります。
Peak Season
Blossom
Leaf
Fruit
| 1 | 2 | 3 | 4 | 5 | 6 | 7 | 8 | 9 | 10 | 11 | 12 | |
|---|---|---|---|---|---|---|---|---|---|---|---|---|
| 見頃 |
|
|
|
|
|
|||||||
| 花 |
|
|||||||||||
| 葉 |
|
|
|
|
|
|
|
|
|
|
|
|
| 実 |
|
|
||||||||||
高さ
低木 (1〜5m)
|
花の性別
雌雄異株
|
|||||||||||
分布本州(関東地方以西)、 四国、 九州、 朝鮮半島、 中国 |
生息地山地 |
|||||||||||
分布本州(関東地方以西)、 四国、 九州、 朝鮮半島、 中国 |
||||||||||||
生息地山地 |
||||||||||||
学名Lindera glauca |
||||||||||||
樹形
葉
互生(葉が互い違いにつくこと)です。
葉は長楕円形から楕円形で先が鋭く、 縁は波打ちます。 葉の表面は光沢がなく深緑色で、 裏は白っぽい灰色です。
葉がいつまでも冬中落ちないで木についたままで、 翌年の春に落ちます。
花
4月頃に芽吹き始めた葉の間から咲きます。 細かく柔らかい毛が密生した短い茎(花柄)を数個伸ばし、 淡い黄色の小さな花をつけます。
雌雄別株なのですが、 日本国内では雄木が見つかっていません。
実
球形の水分を持った実(液果)を付けます。 10~11月頃に黒く熟し、 中に種が一個入っています。
この実はキビタキやオオルリなども食べに来ます。
幹・枝
茶褐色で小さな皮目(ひもく)があります。
新しい枝には曲がった短い毛が生え、 2年目の枝は淡い褐色で、 縦に細い割れ目ができます。
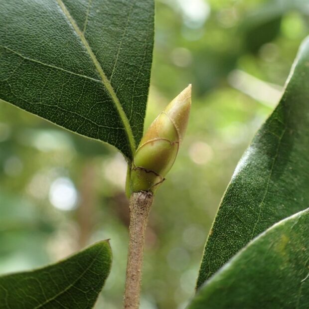
冬芽・葉痕
紡錘形(ぼうすいけい)で赤褐色です。 1つの冬芽の中に葉と花が一緒に入っています。
人との関わり
葉が冬も落ちないで残っていることから「落ちない」木として縁起の良い木と言われます。 合格祈願のお守りにしたりもします。
名前の由来
山に生えていて、 葉を揉むと香ばしい匂いがすることから「ヤマコウバシ」とついたといわれています。
生の緑色の葉はとても強い香りがしますが枯れ葉はあまり香りがしません。
その他の情報
雄の木が見つかっていない不思議な木です。 さらに、 日本国内のすべてのヤマコウバシが同じ遺伝子を持つ「巨大なクローン」であるという研究結果が2021年大阪市立大学より発表されました。 研究発表はこちら
体験・遊び
生の緑色の葉はとても強い香りがします。 何の香りに似ているのか、 参加者同士で話し合いましょう。
関わりが深い生き物
実を食べに、 いろいろな野鳥がやって来ます。
また、 実にはミナミトゲヘリカメムシという南方系のカメムシがいることがあります。
タップすると詳細が見られます
