Language Settings

Select display language

Select audio language

Notes:
Some walking routes may also offer voice guides in other languages.
If a voice guide is not available in your selected language, it will be provided in Japanese or English.

秋ヶ瀬公園

エゴノキ

満開の白い花は雪がつもったよう

  • 木の自己紹介

    木の自己紹介

    0:00 / 0:00
  • マップで探す(さがす)
  • 樹木クイズ

この木を 親友 に登録

マイページの樹木帳に親友マーク が付きます。

特徴

初夏に木全体に咲く花は降り積もった雪のようでとてもきれいです。
エゴノキの若い実はサポニンを含んでいて、 昔は石鹸の代わりとして使われました。 そのため「石鹸の木」とも呼ばれます。
花がきれいなので公園や庭によく植えられています。

以下の情報は、 関東地方を基準にしています。 エリアによって1ヶ月くらいの差があります。

  • Peak Season
  • Blossom
  • Leaf
  • Fruit
  1 2 3 4 5 6 7 8 9 10 11 12
見頃

高さ

小高木 (5~10m)

花の性別

両性花

分布

北海道(日高地方)、 本州、 四国、 九州、 沖縄、 朝鮮半島、 中国

生息地

山麓の雑木林や、 山地の谷間、 小川のほとりに生えます

分布

北海道(日高地方)、 本州、 四国、 九州、 沖縄、 朝鮮半島、 中国

生息地

山麓の雑木林や、 山地の谷間、 小川のほとりに生えます

学名

Styrax japonicus

樹形

高さ8~10mになります。

  • 園庭によく植えられる
    写真 / MayaN

  • 水辺を好む
    写真 / MayaN

葉は薄く、 先端がとがっています。 葉の縁(ふち)には浅いギザギザがあります。 互生で、 枝に互い違いにつきます。

  • 菱形に近い形の葉。 浅い中途半端なギザギザがある。
    写真 / MayaN

  • 芽吹きの様子は花が咲いたよう。
    写真 / MasakoT

花が満開になると、 白い雪が降り積もっっているように見えます。

  • 花が満開になると、 白い雪が降り積もったように見える
    写真 / MayaN

  • 花は下向きに咲く
    写真 / MayaN

たくさん実るので目立ちます。 若い実の皮にはサポニンという物質が含まれていて、 昔は石鹸や、 漁に使う毒として使われました。
実は熟すと、 皮がむけ中の種だけが枝にぶら下がって残ります。 これをヤマガラなどの鳥が食べに来ます。 エゴノキは、 土に埋められて食べ残された種から発芽することをねらって、 ヤマガラが採りやすいようにしておくのかもしれませんね。

  • 未熟な実は有毒
    写真 / MasakoT

  • 熟すと皮がむけて種だけが残る
    写真 / MayaN

幹・枝

黒っぽくなめらかな樹皮。 老木になると浅く避けます。

  • 黒っぽくなめらかな樹皮
    写真 / MayaN

  • アカバナエゴノキの樹皮。 少し赤味がかる。
    写真 / MayaN

冬芽・葉痕

表面には星状毛が発達します。 冬芽の根元には小さな副芽(ふくが)があります。

  • 表面には毛がびっしりと生えている
    写真 / MasakoT

  • 根元には小さな副芽(ふくが)がある。
    写真 / MasakoT

  • 葉痕は半円形で顔のよう
    写真 / MasakoT

  • 芽吹き始めた冬芽。 独特の星状毛が目立つ。
    写真 / MasakoT

名前の由来

エゴノキという名前は実の皮を口に含むと「えぐい」ことから来ていると言われています。

関わりが深い生き物

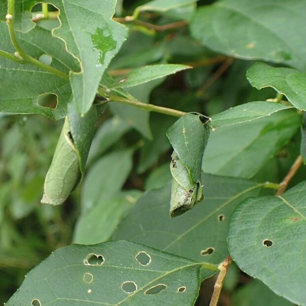
花には、 クマバチなどのハナバチの仲間が集まります。 クルッと巻かれた葉がぶら下がっていたり、 葉に丸い穴の食べ跡があればオトシブミがいるかもしれません。 また堅い種の中身はヤマガラの大好物です。   

  • 密や花粉を求めて花にぶら下がるキムネクマバチ。
    写真 / MasakoT

  • エゴツルクビオトシブミのゆりかご。 雌が葉を切って巻いて、 中に卵を産み、 さらに巻いて作ったものです。
    写真 / MayaN

  • 丸い小さな穴はエゴツルクビオトシブミの成虫が食べたあと
    写真 / MayaN

  • 堅い種のカラを上手に割って中身を食べるのはヤマガラの特技。 安心して食べられる場所に移動して食べたり、 貯めておくためにどこかに隠したりします。
    写真 / Fumio.S

秋ヶ瀬公園 基本情報