街路樹などでは刈り込まれていますが、 高さは15mを超すほどにもなります。 よく枝を出し、 葉が密に茂ります。
この木を 親友 に登録
マイページの樹木帳に親友マーク が付きます。
特徴
地中海沿岸を原産です。 日本には明治9年頃に入って来たとされています。 葉をちぎるとスパイシーな香りがします。
「勝利」「栄光」のシンボルとされ、 ゲッケイジュの枝葉で作った冠「月桂冠」は、 優勝者や受賞者に贈られることがあります。
以下の情報は、 関東地方を基準にしています。 エリアによって1ヶ月くらいの差があります。
Peak Season
Blossom
Leaf
Fruit
| 1 | 2 | 3 | 4 | 5 | 6 | 7 | 8 | 9 | 10 | 11 | 12 | |
|---|---|---|---|---|---|---|---|---|---|---|---|---|
| 見頃 |
|
|
||||||||||
高さ
高木 (10~30m)
|
花の性別 |
|||||||||||
分布 |
生息地 |
|||||||||||
分布 |
||||||||||||
生息地 |
||||||||||||
樹形
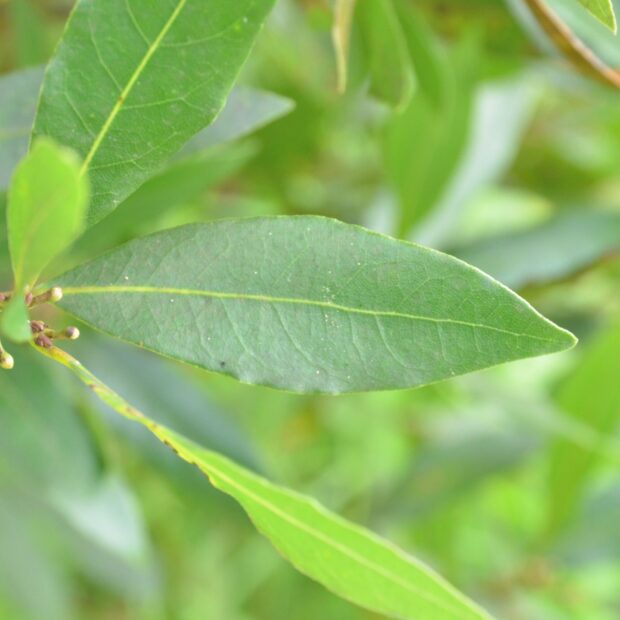
葉
葉は、 互生。 細長く先端が尖ります。 濃緑色で周囲が少し波打ちます。 そのままでは匂いはありませんが、 揉んで葉に傷をつけると良い香りがします。 乾燥させると香りが強くなります。
花
4~5月に薄黄色の花を咲かせます。 雌の木と雄の木があります。 植栽は雄の木がほとんどですが、 雌の木も稀に植えられています。
実
果実は10月頃に黒紫色に熟します。 雄の木に比べて、 雌の木の数が少なく、 実がなっているのを目にすることは少ないです。
幹・枝
枝を切ると香りがします。
冬芽・葉痕
葉芽は楕円形。 花芽はまん丸です。
人との関わり
陰干しした葉は「ローリエ」と呼ばれ、 肉料理にクッキングハーブとして利用されています。
名前の由来
漢名「月桂樹」の音読みしたものです。
その他の情報
古代ギリシャで競技の勝者にゲッケイジュの枝葉で作った冠(=月桂冠)が贈られていました。 そこから「栄光」「勝利」「名誉」「栄誉」のシンボルとされ、 大会の優勝者に贈られることがあります。
ただしオリンピックの優勝者に贈られる冠はオリーブの冠になります。
性格
剪定に強く、 萌芽力もあるので、 公園樹や生垣などに植えられているのを多く見かけます。
芽吹く力が強く、 枝を切って乾燥させて保存しておいたあと、 挿し木(枝を土にさして根を出させる方法)をして増やすことができます。
関わりが深い生き物
枝や葉にルビーロウムシというカイガラムシがつくことがあります。 カイガラムシがびっしりつくと、 排泄物にカビがつき、 すす病を引き起こし葉が黒くなります。
タップすると詳細が見られます
見られる場所
執筆協力 : 広畠真知子
