Language Settings

Select display language

Select audio language

Notes:
Some walking routes may also offer voice guides in other languages.
If a voice guide is not available in your selected language, it will be provided in Japanese or English.

秋ヶ瀬公園

ハンノキ

湿地のメインキャスト

  • 木の自己紹介

    木の自己紹介

    0:00 / 0:00
  • マップで探す(さがす)
  • 樹木クイズ

この木を 親友 に登録

マイページの樹木帳に親友マーク が付きます。

特徴

湿地のメインキャストと言える木です。
根と幹にとくべつな仕組みをもっているため他の木が生えられないような水辺にも生息しています。
昔は田んぼの脇に植えられ、 稲を干すのに使われました。

みんなの投稿

以下の情報は、 関東地方を基準にしています。 エリアによって1ヶ月くらいの差があります。

  • Peak Season
  • Blossom
  • Leaf
  • Fruit
  1 2 3 4 5 6 7 8 9 10 11 12
見頃

高さ

高木 (10~30m)

花の性別

雌雄同株

分布

北海道、 本州、 四国、 九州、 沖縄、 南千島、 ウスリー、 朝鮮半島、 中国、 台湾

生息地

低湿地や湿原に生えます

分布

北海道、 本州、 四国、 九州、 沖縄、 南千島、 ウスリー、 朝鮮半島、 中国、 台湾

生息地

低湿地や湿原に生えます

学名

Alnus japonica

樹形

水辺でのびのびと成長します。
成長が早く10年ほどで10mまで成長するのですが、 30年ほどで枯れてしまう木が多く、 木の中では短命です。

  • 少しこんもりした樹形になる
    写真 / MayaN

  • 川沿いで伸び伸びと育つ
    写真 / 庭木図鑑植木ペディア

  • 真冬に花を咲かせようとするハンノキ。
    沢山の鳥が訪れていた。
    写真 / MayaN

  • 北国の立派なハンノキ。 寒い方がより元気?
    写真 / YukiSano

ふちには不揃いな浅い切れ込みがあります。 葉は落葉するまで緑色です。 紅葉(黄葉)はしません。
折りたたまれて餃子のようになった葉があったら、 それはミドリシジミの幼虫の巣かもしれません。

  • 写真 / MayaN

  • ミドリシジミの幼虫の巣と、 幼虫
    写真 / MasakoT

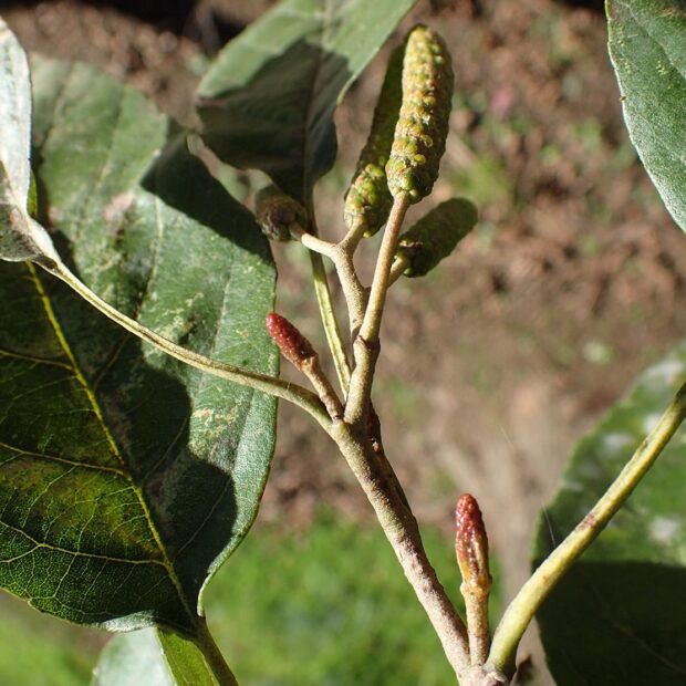
真冬に咲きます。
同じ木に雄花と雌花が咲きます。
雄花が枝の先の方に咲き、 雌花は同じ枝の下の方に咲きます。
花粉は風に運ばれます。
ハンノキは花粉を遠く飛ばすため、 風が強く木に葉のない真冬に花を咲かせると考えられています。

  • 真冬に花の咲いている様子。 実がまだ残っている
    写真 / MayaN

  • 枝の先端に咲く雄花。 風に花粉を飛ばす。
    写真 / MayaN

  • 雌花。 先端で垂れ下がって咲く雄花の下方にひっそりと咲く。
    写真 / MasakoT

小さな松ぼっくりのような実がなります。 中には小さな種が挟まっています。

  • 秋に熟し、 長く樹についている
    写真 / MayaN

  • 中には種が入っており、 晩秋風が吹くと飛んでいく
    写真 / 草木屋

  • 種を食べるマヒワ
    写真 / MasakoT

  • 夏、 茶色いのは1年前の実(果穂)と緑色が今年の実。
    写真 / MayaN

幹・枝

幹には裂け目があります。
根が水につかると、 この裂け目から空気を取込み、 根に送ると言われています。

  • 写真 / MayaN

冬芽・葉痕

赤みのある葉芽は樹脂で固まった状態で、 よく見ると柄があります。 葉痕の維管束痕は3つで、 かわいいお顔があります。 雄花の集まりと、 雌花の集まりの芽もあり、 別々の枝先につきます。

  • かわいいコックさんのような葉芽
    写真 / Tamacha

  • 先の方はギザギザで葉であり、 その下は柄になっているのがわかる
    写真 / MasakoT

  • 上の方の大きな芽は雄花の集まり。 下の方の小さめな赤い芽は雌花の集まり
    写真 / MayaN

名前の由来

開墾することを墾(はり)と言い、 そこから「墾の木(はりのき)」→「ハンノキ」になったのではないかと言われている。

その他の情報

ハンノキの根に共生する根粒菌は空気中を窒素を固定することがでます。 そのためハンノキは栄養が乏しい湿地でも成長することができます。
またハンノキは、 幹の皮目(※)からも空気を取り込むことができ、 水につかってしまった根に空気を送ることができるのです。 このような能力をハンノキは獲得して、 他の木が進出できない水辺でのびのびと生きているのです。
※ひもく : 樹皮のところどころにある穴で、 呼吸に役立っている。

  • 水の中でも元気に生きるハンノキ
    写真 / MayaN

関わりが深い生き物

冬、 ハンノキのタネを食べに、 マヒワやカワラヒワなどの鳥がやってきます。
ミドリシジミの幼虫はハンノキの葉を食べて育ちます。 6~7月の夕方、 宝石のように美しいミドリシジミの成虫が飛びかいます。

  • タネを食べるマヒワ
    写真 / MasakoT

  • ミドリシジミの成虫
    写真 / MayaN

秋ヶ瀬公園 基本情報