2~4mの低木です。
この木を 親友 に登録
マイページの樹木帳に親友マーク が付きます。
特徴
早春にさくまっ黄色の花がとても目立ちます。 公園や庭に植えられます。 ヨーロッパやアメリカでもよく植えられ、 英語ではゴールデンベルと呼ばれます。
みんなの投稿
以下の情報は、 関東地方を基準にしています。 エリアによって1ヶ月くらいの差があります。
Peak Season
Blossom
Leaf
Fruit
| 1 | 2 | 3 | 4 | 5 | 6 | 7 | 8 | 9 | 10 | 11 | 12 | |
|---|---|---|---|---|---|---|---|---|---|---|---|---|
| 見頃 |
|
|||||||||||
高さ
低木 (1〜5m)
|
花の性別 |
|||||||||||
分布 |
生息地 |
|||||||||||
分布 |
||||||||||||
生息地 |
||||||||||||
樹形
花
葉が出る前または同時に黄色い花が咲いて、 とても華やか。 遠くから見ても分かります。
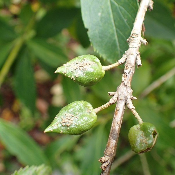
実
先がとがった面白い形の実です。 実は漢方薬にもされます。
その他の情報
レンギョウとして植えられている木には、 チョウセンレンギョウやシナレンギョウがあり、 葉の形や樹形が異なります。 (雑種もあり、 中間的な性質の木もあります。 )
関わりが深い生き物
早春に咲く花には、 ハチ、 ハエ、 ヒラタアブなどがやって来ます。
