通常は高さ3~6メートル程になります。 固い葉がたくさん付いて、 こんもりとした樹形です。
ギンモクセイ
会えたらラッキー!キンモクセイの白花バージョン
特徴
キンモクセイの白花バージョン。
キンモクセイより花付き少なく、 花の香りが弱いため、 植えられている木は少なく、 めったに会えません。
以下の情報は、 関東地方を基準にしています。 エリアによって1ヶ月くらいの差があります。
Peak Season
Blossom
Leaf
Fruit
| 1 | 2 | 3 | 4 | 5 | 6 | 7 | 8 | 9 | 10 | 11 | 12 | |
|---|---|---|---|---|---|---|---|---|---|---|---|---|
| 見頃 |
|
|
||||||||||
| 花 |
|
|
||||||||||
| 葉 |
|
|
|
|
|
|
|
|
|
|
|
|
高さ
低木 (1〜5m)
小高木 (5~10m)
|
花の性別
雌雄異株
|
|||||||||||
分布中国原産 |
生息地- |
|||||||||||
分布中国原産 |
||||||||||||
生息地- |
||||||||||||
学名Osmanthus fragrans |
||||||||||||
樹形
葉
キンモクセイより幅が広い葉っぱで、 革のような質感があります。 キンモクセイと異なって、 するどいギザギザがあるので、 触るとちょっと痛いです。
花
9~10月、 葉の付け根に白くてキンモクセイとそっくりの形や香りの花を咲かせます。 花付きや花の香りがキンモクセイより少ないため植栽されることが少ないです。 日本で植えられている木は雄花だけが咲く雄木がほとんどで、 雌花(めばな)はめったに見られません。
実
春に黒く熟した2㎝ほどの細長く丸い実がなりますが、 日本で植えられているのは、 ほとんど雄の木なので、 実はなかなか見られません。
幹・枝
どうぶつの犀(さい)の皮に似て灰色でブツブツがあります。 縦に入るさけ目もシワのように見えます。
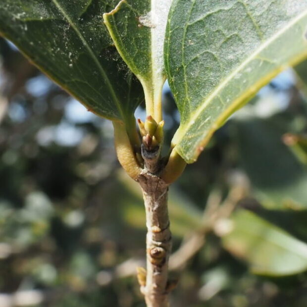
冬芽・葉痕
枝の先っぽや側面の葉の付け根に冬芽が付きます。 1~2年目の枝の側面に付く冬芽は花芽です。
名前の由来
木犀(モクセイ)は樹皮が動物の犀(サイ)の皮ふに樹皮が似ていることに由りますが、 花の色がオレンジ色の金木犀(キンモクセイ)に対して、 白いことから銀木犀(ギンモクセイ)と名付けられました。
その他の情報
ギンモクセイを中心にウスギモクセイ、 キンモクセイは変種とする分類が現在主流となっています。
中国ではギンモクセイを銀桂、 ウスギモクセイを桂花、 キンモクセイを丹桂とするといわれますが、 丹桂の内容は幅が広く、 日本のキンモクセイだけではありません。 特に花色が濃く、 香りの強い変異した雄株を導入して、 日本で挿し木繁殖したものがキンモクセイと言われています。
性格
ギンモクセイは単体より、 キンモクセイとセットで植えられることが多いです。 花はキンモクセイが目立つので咲いても気が付かれないことがありますが、 逆に「ひかえめで奥ゆかしい?」と好印象だったりします。 目立たない人は、 目立つ人のそばにいるのも手だなと思います。
体験・遊び
花の香りをキンモクセイと比べてみましょう。 花を紅茶に入れて飲んでみても良いです。 ただし、 ギンモクセイは干すと香りがほとんどなくなってしまいます。
見られる場所
執筆協力 : 岩谷美苗
