Language Settings

Select display language

Select audio language

Notes:
Some walking routes may also offer voice guides in other languages.
If a voice guide is not available in your selected language, it will be provided in Japanese or English.

筑波実験植物園

ウツギ

別名ウノハナ。 童謡にも歌われる木

  • 木の自己紹介

    木の自己紹介

    0:00 / 0:00
  • マップで探す(さがす)
  • 樹木クイズ

この木を 親友 に登録

マイページの樹木帳に親友マーク が付きます。

特徴

初夏に白い花が木全体に咲きます。 ウツギの花が谷を真っ白に染める風景は、 日本の本州を代表する風景です。 別名ウノハナ。 「夏は来ぬ」の童謡にも歌われています。 また旧暦4月の名前「卯月」は、 卯の花の咲く月という意味です。 畑の境界線にも植えられ、 人々の生活にとっても身近な木でもありました。

以下の情報は、 関東地方を基準にしています。 エリアによって1ヶ月くらいの差があります。

  • Peak Season
  • Blossom
  • Leaf
  • Fruit
  1 2 3 4 5 6 7 8 9 10 11 12
見頃

高さ

低木 (1〜5m)

花の性別

両性花

分布

日本(北海道、 本州、 四国、 九州)、 中国

生息地

日当たりのよい山野の川沿いや林緑

分布

日本(北海道、 本州、 四国、 九州)、 中国

生息地

日当たりのよい山野の川沿いや林緑

学名

Deutzia crenata

樹形

落葉低木で高さ1~3mほどになります。 日当たりのよい山野の川沿い、 谷間や林の縁を好みます。
初夏に木全体に花を咲かせる姿は美しく目を引きます。

  • 純白の清楚な美しさに思わず見入る。 枝が垂れ下がるように伸びる。
    写真 / MayaN

  • 林の縁にたくさん咲く様子は季節を感じさせる
    写真 / MayaN

先がすっと尖ります。 葉は長さが4~9㎝程。
表面には毛があり、 ゴワゴワした独特な触り心地です。

  • 葉は対生(枝の同じ場所から2まいずつつく)。
    写真 / MayaN

  • 厚さはやや厚く、 表面には星状毛があり、 触ると独特触り心地。
    写真 / MayaN

5~7月に白い花を房状にたくさんつけます。 花びらは5枚です。
雄しべの花糸の両側に翼があり、 それが花びらのようにも見えるので、 花びらが2重にあるかのように見える。

  • 房が立ち上がるようにして咲く
    写真 / MayaN

  • 雄しべの花糸の両側に翼があり、 翼の先端がピンと突きでる。 それが花びらのようにもみえ、 花びらが2重にあるかのように見える。
    写真 / MayaN

  • 虫も集まる
    写真 / MayaN

  • 木に沢山咲く様子は清楚で美しい。
    写真 / MayaN

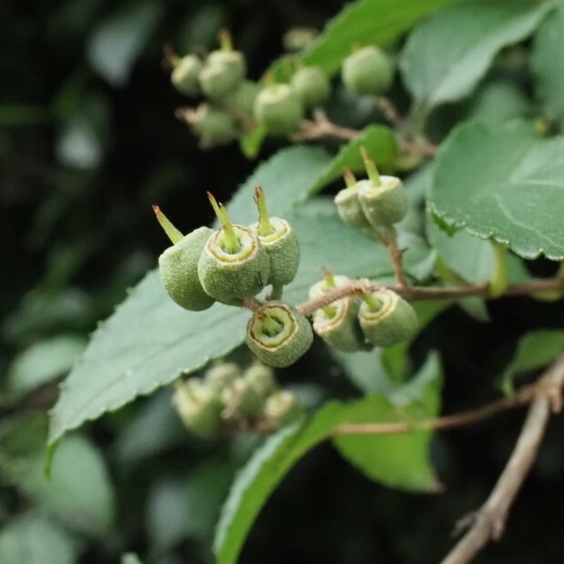
直径4~6㎜の椀形で先端はややくぼみ、 花柱(メシベの一部)が残ります。 10~11月に熟し、 種子は褐色で片方に膜質の翼があります。

  • 花柱がまだ残っている
    写真 / MayaN

  • 熟した実。 ずっと枝についていて、 いつ種を落としたのかわからない。
    写真 / MasakoT

  • 枝先に付くのでわかりやすい
    写真 / MayaN

  • 花が多い分、 実もたくさんつく。
    写真 / MayaN

幹・枝

灰褐色で短冊状に剥がれます。 枝は暗褐色で若い枝は赤褐色で毛があります。

冬芽・葉痕

枝の途中にも冬芽はつきますが、 枝の先端には2つの芽が付くのが特徴です。
卵形~長卵形で毛があります。 4~5対の鱗に包まれています。

  • 枝に2個セットでつく。
    写真 / MasakoT

  • 枝に2個セットでつく。
    写真 / MasakoT

  • 枝の頂点につき冬芽も2個セット
    写真 / MasakoT

人との関わり

刈り込み強いので庭木に利用されます。 武蔵野台地など乾燥したところでは土地の境界に堺木(さかいぎ)として植えられます。
また、 材は楊枝や木釘にします。

名前の由来

幹の中が中空であることから空木=ウツギと呼ばれるようになったと言われています。

関わりが深い生き物

花には、 チョウ、 ハチ、 甲虫・・・、 いろいろな虫がやって来ます。

  • 花に群がるハチ。
    写真 / MasakoT

筑波実験植物園 基本情報