高木となる木です。 樹形を整えるのは難しく、 自由奔放です。
この木を 親友 に登録
マイページの樹木帳に親友マーク が付きます。
特徴
イスノキは関東以西の木。 九州や四国など暖かい地域で見られます。 葉の虫こぶが個性的と思われていますが、 じつは中身の木材がすごい木です。 重くて硬くて丈夫な木材は、 木刀から家具や楽器、 フローリングまで利用されます。
以下の情報は、 関東地方を基準にしています。 エリアによって1ヶ月くらいの差があります。
Peak Season
Blossom
Leaf
Fruit
| 1 | 2 | 3 | 4 | 5 | 6 | 7 | 8 | 9 | 10 | 11 | 12 | |
|---|---|---|---|---|---|---|---|---|---|---|---|---|
| 見頃 |
|
|
|
|||||||||
| 花 |
|
|
||||||||||
| 葉 |
|
|
|
|
|
|
|
|
|
|
|
|
| 実 |
|
|
|
|||||||||
高さ
高木 (10~30m)
|
花の性別
雌雄同株
雄花と両性花
|
|||||||||||
分布日本(本州 : 関東地方以西、 四国、 九州、 沖縄) 韓国(済州島)、 台湾(最南部および蘭嶼)、 中国(東部沿岸および海南島) |
生息地常緑樹林内 |
|||||||||||
分布日本(本州 : 関東地方以西、 四国、 九州、 沖縄) 韓国(済州島)、 台湾(最南部および蘭嶼)、 中国(東部沿岸および海南島) |
||||||||||||
生息地常緑樹林内 |
||||||||||||
学名Distylium racemosum |
||||||||||||
樹形
葉
葉の先端はやさしくとがり、 交互に並びます。 葉に虫こぶがあることが多いです。
花
早春から晩春、 花は複数集まって咲き、 上の方は両性花、 下は雄花をつけます。
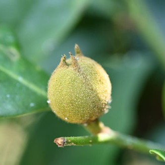
実
夏の終りから秋にかけて、 先がとがった実がなります。 この実も虫こぶになるといろんな形になります。
幹・枝
若い樹皮はなめらかで、 大木になると鱗のようにはがれます。
冬芽・葉痕
先がヒュンととがり、 茶色い毛のある芽です。 初めは托葉という小さな葉のようなものに挟まれていますが、 それはすぐに落ちてしまいます。
人との関わり
木材を細工物、 楽器、 櫛などに利用されます。 縁起の良い木とする地域もあるようです。
名前の由来
髪を洗いとかすことを古語で「ゆする」といい、 櫛として使われたイスノキは由之(ゆし)や柞(いす)と呼ばれたことからイスノキとなったと言われています。
名前の由来には諸説ありますが、 椅子を作る木というわけではなさそうでうs。
性格
虫こぶが無かったら、 何の木かわからないぐらい地味な木です。 まるで眼鏡で個性的なキャラになっている人。 眼鏡をはずせば誰だかわかりません。 本当はみかけより中身に個性があります。 イスノキの木材は日本の木材の中では一番重く、 硬くて丈夫です。 残念ながら、 重いのでイスはあまり作られないようです。
体験・遊び
大きな虫こぶは穴があき、 そこを吹くとひょんとなるから、 ヒョンノキとも呼ばれています。 アブラムシが出て行った後の虫こぶを見つけ、 ゴミをとりのぞいて、 吹いてみましょう。
