高さ20mほどになります。
ひと昔前の里山では、 燃料などに利用するために伐られると、 その切り株から何本も芽が出て成長するため、 幹が根元から何本も一緒に生えている木が多く見られました。
この木を 親友 に登録
マイページの樹木帳に親友マーク が付きます。
特徴
人の生活を支え続けてくれた木です。 炭や薪、 肥料、 シイタケのほだ木など様々な方法で活用されてきました。
以下の情報は、 関東地方を基準にしています。 エリアによって1ヶ月くらいの差があります。
Peak Season
Blossom
Leaf
Fruit
| 1 | 2 | 3 | 4 | 5 | 6 | 7 | 8 | 9 | 10 | 11 | 12 | |
|---|---|---|---|---|---|---|---|---|---|---|---|---|
| 見頃 |
|
|
||||||||||
高さ
高木 (10~30m)
|
花の性別 |
|||||||||||
分布 |
生息地 |
|||||||||||
分布 |
||||||||||||
生息地 |
||||||||||||
樹形
葉
フチに大きなギザギザのある葉です。 春、 白銀色の新緑がきれいです。
花
雄花はヒモが釣り下がったような形です。 雌花はとても小さいです。 花が咲いた年の秋にドングリが実ります。
実
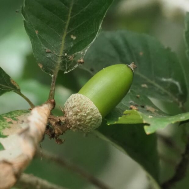
ウロコ状の模様がついた帽子をかぶったドングリです。 春に花が咲いてその年の秋に熟します。
幹・枝
縦に皺(しわ)がしっかり刻まれています。
冬芽・葉痕
たくさんの芽鱗がきれいに並んでいます。 赤茶色の芽は水滴型に見えますが、 少し角ばっていて、 上から見ると五角形になっています。
名前の由来
同じナラ科のミズナラが高さも葉もコナラより大きく「オオナラ」と呼ばれるのに対して、 小さいナラという意味で「コナラ」と呼ばれたそうです。
その他の情報
現在、 北海道をのぞく全国でナラ枯れという伝染病が広がり、 枯れている木が多く見られます。
関わりが深い生き物
コナラは虫たちに人気の木。 葉は虫の食べあとだらけ。 葉を食べている犯人を捜してみましょう。
樹液が出ていると、 カブトムシ、 クワガタムシ、 カナブン、 チョウなどがやって来ます。
ドングリはゾウムシの住みかでもあり食べ物です。
ネズミやカケス、 オシドリ、 カケスなどの野鳥がドングリを運びます。
