Language Settings

Select display language

Select audio language

Notes:
Some walking routes may also offer voice guides in other languages.
If a voice guide is not available in your selected language, it will be provided in Japanese or English.

東葛飾中学高等学校

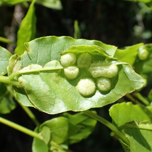
フジハフクレフシ(タマバエの1種)

フジの葉がぷくっとふくれる虫こぶ

  • フジの葉にできた虫こぶ
    写真 / MasakoT

  • フジの葉にできた虫こぶ
    写真 / MasakoT

特徴

タマバエが作った葉の表と裏がふくれる虫こぶ。 1つの虫こぶに幼虫が1頭入っています。 タマバエの成虫は、 5~6月、 葉の裏の虫こぶにあなをあけて、 脱出します。 (MT)

※正確な(しゅ)の判定は、 形態を細部まで見る必要があります。

虫こぶとは

昆虫、 ダニ、 菌類などの寄生によって、 植物の一部が異常な細胞分裂をおこし、 こぶになったり、 いろいろな形に変化したものです。 虫えい(ちゅうえい)、 ゴールとも言われます。 虫こぶは、 虫にとって、 住まいでもあり食事場所でもあり、 「お菓子の家」のようなものです。
虫こぶの名前は、 「植物の名前+つくられる場所+虫こぶの形+フシ(虫こぶのこと)」という形でつけられます。

見られる木

東葛飾中学高等学校 基本情報