Language Settings

Select display language

Select audio language

Notes:
Some walking routes may also offer voice guides in other languages.
If a voice guide is not available in your selected language, it will be provided in Japanese or English.

大磯小学校

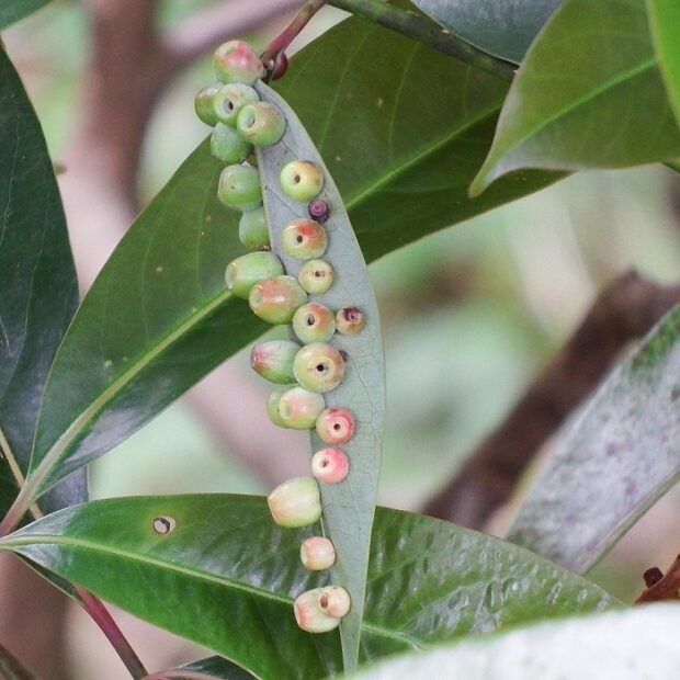
タブノキハウラウスフシ(タブウスフシタマバエ)

タブノキの葉裏に小さな臼がいっぱい!

  • 日当たりのいいところでは赤くなりきれい。
    写真 / MasakoT

  • 葉の裏に大小の虫こぶがいっぱい。
    写真 / MasakoT

  • 1枚の葉の裏に虫こぶが集中。
    写真 / MasakoT

特徴

「タブノキ・ハウラ・ウス・フシ」タブノキの葉裏にできるウスの形の虫こぶ。 タブウスフシタマバエが産卵し、 虫こぶを作ります。 虫こぶの中でタマバエの幼虫が育ち、 5月頃、 成虫が脱出します。 虫こぶは秋から春に目立つようになります。 (MT)
 
大きさ : 虫こぶは直径5mm前後 高さ8mm前後
分布 : 本州、 四国、 九州、 南西諸島

※正確な(しゅ)の判定は、 形態を細部まで見る必要があります。

虫こぶとは

昆虫、 ダニ、 菌類などの寄生によって、 植物の一部が異常な細胞分裂をおこし、 こぶになったり、 いろいろな形に変化したものです。 虫えい(ちゅうえい)、 ゴールとも言われます。 虫こぶは、 虫にとって、 住まいでもあり食事場所でもあり、 「お菓子の家」のようなものです。
虫こぶの名前は、 「植物の名前+つくられる場所+虫こぶの形+フシ(虫こぶのこと)」という形でつけられます。

見られる木

大磯小学校 基本情報