昆虫、 ダニ、 菌類などの寄生によって、 植物の一部が異常な細胞分裂をおこし、 こぶになったり、 いろいろな形に変化したものです。 虫えい(ちゅうえい)、 ゴールとも言われます。 虫こぶは、 虫にとって、 住まいでもあり食事場所でもあり、 「お菓子の家」のようなものです。
虫こぶの名前は、 「植物の名前+つくられる場所+虫こぶの形+フシ(虫こぶのこと)」という形でつけられます。
特徴
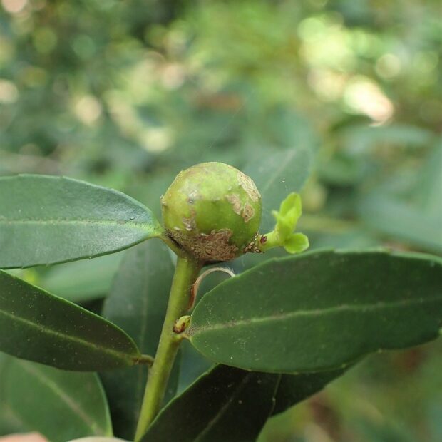
イヌツゲの芽にイヌツゲタマバエが作った虫こぶ。 イヌツゲタマバエは、 虫こぶの中で、 幼虫で冬を越し、 5~6月に成虫になり、 虫こぶから脱出します。 (MT)
※正確な種の判定は、 形態を細部まで見る必要があります。
