昆虫、 ダニ、 菌類などの寄生によって、 植物の一部が異常な細胞分裂をおこし、 こぶになったり、 いろいろな形に変化したものです。 虫えい(ちゅうえい)、 ゴールとも言われます。 虫こぶは、 虫にとって、 住まいでもあり食事場所でもあり、 「お菓子の家」のようなものです。
虫こぶの名前は、 「植物の名前+つくられる場所+虫こぶの形+フシ(虫こぶのこと)」という形でつけられます。
特徴
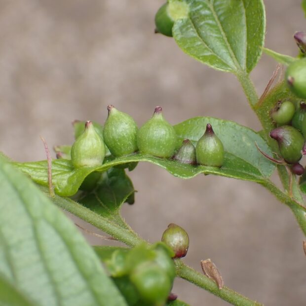
エノキトガリタマバエがエノキの葉や葉柄に作った虫こぶ。 虫こぶは擬宝珠(ぎぼし)のような形をしています。 5月下旬頃、 虫こぶは落下し、 幼虫は落下した虫こぶの中で翌春まで過ごし、 3~4月に成虫になります。
大きさ : 虫こぶは直径2~5mm、 高さ3~10mm 成虫の体長は約4mm
虫こぶが見られる時期 : 4~5月
分布 : 本州、 四国、 九州
※正確な種の判定は、 形態を細部まで見る必要があります。
