昆虫、 ダニ、 菌類などの寄生によって、 植物の一部が異常な細胞分裂をおこし、 こぶになったり、 いろいろな形に変化したものです。 虫えい(ちゅうえい)、 ゴールとも言われます。 虫こぶは、 虫にとって、 住まいでもあり食事場所でもあり、 「お菓子の家」のようなものです。
虫こぶの名前は、 「植物の名前+つくられる場所+虫こぶの形+フシ(虫こぶのこと)」という形でつけられます。
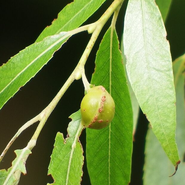
シダレヤナギハオオコブフシ(コブハバチの一種)
シダレヤナギの葉にまるいコブ
特徴
コブハバチの仲間が作った虫こぶ。 シダレヤナギの葉の基部近くの主脈に作られる1~1.5cmくらいのまるい虫こぶで、 葉の両面がふくれます。
成虫が見られる時期 : 4~5月
分布 : 本州、 九州
※正確な種の判定は、 形態を細部まで見る必要があります。
